Пропозиція на продаж: №1969
Дата надходження: 05/02/2008

Об`єкт продажу:Продажа автобазы в г.Бердянск
Призначення:Виробнича нерухомість
Регіон України:Запорізька область
Продаж повністю та/або частинами:100%
Вартість Об`єкту:2 200 000 грн.
Призначення (можливі варіанти використання):Автобаза
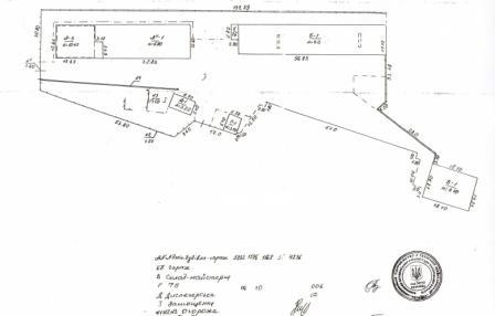
Загальний опис (загальна/корисна площа стан):Общая площадь строений - 2 154 кв.м. Административное здание – 3-х этажное, площадь – 600кв.м.+ Подвал – 180 кв.м. Гараж – 430 кв.м., высота – 6,80 м. Гараж – 630 кв.м., высота – 4,00 м. Склад-мастерская – 230 кв.м., высота – 4,40 м. Диспетчерская – 50 кв.м. ТП – 34 кв.м. Постройки – 1973 года Территория замощена асфальтом. Находится в промышленной зоне, рядом с центральной трассой
Фотографії:



Контактна особа: Игорь Александрович
Тел.: (044)492-98-78, 492-98-79
E-mail: igor@agbiz.kiev.ua